2026. március 06., péntek

Hurrikánok és tájfunok

Adott napon: 
Keresés:
#8686
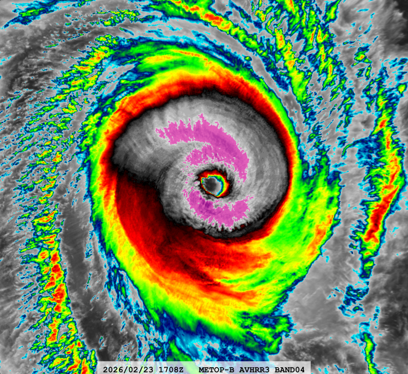
Horacio "személyében" tegnap megvolt az idei első Cat 5-ös ciklon (legalább is a JTWC becslése szerint).

beillesztett kép

#8685
Toamasina telitalálat.

beillesztett kép

#8684
Madagaszkáron meglesz az öntözés.

beillesztett kép

#8683
Ahhoz képest, hogy Luana már két napja partot ért Ausztrália északnyugati részén, még mindig elég szép "land depression".

beillesztett kép

#8682
Ma hivatalosan is lezárult a ‘25-ös atlanti szezon. ACE tekintetében bőven átlag feletti volt, főleg, hogy volt 3 db cat5 is,  ami hozzájárult ehhez.

beillesztett kép

#8681
Meg is lett indíva az eszkaláció rendesen. Bár a hivatalos előrejelzés most még csak Cat 3-nak várja, én nagyon meglepődnék, ha nem érné el az 5-ös erősséget. Viszont a korábbiakhoz képest kicsit gyorsabb mozgásúnak várják a modellek, ezért kb. bő 1,5 napja van a partotérésig.

beillesztett kép

#8680
A hét végén / a jövő hét legelején a Fülöp-szigeteken lehet az ismétlés.

beillesztett kép

#8679
Igen. Az Atlati-óceánon és a Csendes-óceán keleti réazén, ahol szintén hurrikán a nevük. Azonban a délnyugat-Csendes -óceánon Wintston (2016) még ennél is fülropogtatóbb volt;  ő 884 hPa-lal szállt a partra, szóval eddig ő a basszájbaszeret
#8678
Az Atlanti-óceánon biztosan.

Kárhelyzet Jamaicán: Link
#8677
Az valós, jól látom, hogy Melissa a 892mb központi légnyomással a Labor Day-jel együttesen az első helyre került minden idők legerősebb partot érő hurrikánjai között?
#8676
Melissa szeme a Sentinel-2 műhold által megörökítve:

beillesztett kép

#8675
Friss radarkép, melissa

beillesztett kép

#8674
Na ez egy baromira jó felvétel a Dorian cat 5. hurrikán szemében a Bahamákról!    Link

Ilyen tényleg egyszer van az ember életében!! Gratulálok az úrnak, hogy volt esze/töke elővenni a kamerát!zivatar
#8673
Na a legütősebb a Treasure Beach környékén a helyzet, ott a szem áthaladóban: Link   Link   Fogalmazzunk úgy hogy most Jamaika Délnyugata. Santa Cruz élő is visszajött szerencsére Link

Azért még a pre-hurricane squall-lineok is szépek voltak sziget-szerte. Link   

Ezt még egyszer érdemes megnézni, szemfal is Link
Link
#8672
Sziasztok ez Santa Cruz, Jamaica hofuvas
Link

Remélem újból bejelentkeznek. Eléggé éles volt eddig, csak megszakadt...
#8671
160 kt (295 km/h) / 892 hPa lesz valószínűleg a csúcsintenzitás.
#8670
Lesz.
#8669
Órák kérdése és partot ér a szem Link
Vajon lesz-e valaki ott, aki a szemben állva csinál képet!?
#8668
Érdekes, hogy a partotérés előtti órákban, amikor a ciklon potenciálisan a legerősebb, nem volt Recon mérés, és ez már nem először fordul(t) elő.

Most bezzeg megy két gép is, az egyik azért kb. fél óra múlva már odaér a szemhez, de a másik még csak Floridánál jár, az már lehet csak a partotérésre lesz ott.
#8667
A szemfalcsere egy hurrikánnál milyen időközönként szokott lenni általában?
Csak mert ez a Melissa amióta nézem, nem ment át szemfalcserén!
#8666
Brutális Link
Belerepültek a szemébe Link
Hát gyerekek, nagyon durva!
Nézzétek meg a térképen, van egy része a szigetnek, Balck River, ahol 10 km-re a parttól 1-2 méterrel vannak a tengerszint felett.
Egy óriási medence!
Azt mind elönti a víz!
#8665
Igen-igen, azóta képbe jöttem újra. Köszi 
#8664
Nézd a frisset, nem ússzák meg, vánszorog a sziget felé.
Egy kép a Recontól a szemben:

beillesztett kép

#8663
Olyan mintha nem is közeledne Jamaica felé. Csak nem irányt váltott?
#8662
Napkeltétől napnyugtáig:

beillesztett kép

#8661
Szem került a szemébe? nevet
#8660
Közel 280 km/h a becsült szél benne Link
Kegyetlen egy dög!
Jó lenne találni élő kamerákat a déli parton, vagy videókat.
Brutális!
Mondjuk most olvasom egy amcsi viharvadász oldalán, hogy 330 km/h-s széllökések vannak benne.
Esseszar, Melissa szemében.

beillesztett kép

#8659
Elég sok helyen, köztük Kingstonban is kötelező érvényű evakuálás van érvényben. A jamaicai met szolgálat 4m-es vihadagályra számít. És ahogy írtátok, nincsenek modernkori feljegyzések ilyen erősségű hurrikánról Jamaica partvidékéről. 
Szomorú. Gyakorlatilag akkora ez a hurrikán, hogy nincs olyan hely Jamaicán ahová úgy lehetne evakuálni, hogy ott mindenki biztonságban legyen. 
#8658
Utána meg megy Kubának, Santiago de Cuba is telibe.
De lehet ahogy átmegy Jamaicán, kicsit gyengül majd, szerintem Jamaica jár a legrosszabbul.
#8657
Több helyen azt írják, hogy 5-ösként ér partot, ami még nem történt meg a szigeten, ráadásul elég lassan mozog, szóval nagy darálás lesz ott. 
#8656
Jamaica nagyot kap Link
#8655
Úgy látszik, az NHC nem akarja besorolni ezt az Azori-szigetek mellett lévő kis ingyombingyomkát (tegnap óta 10 %-on tartják), pedig egyrészt nagyon cukorfalat, másrészt szerintem már elmenne szubtrópusinak. szeret

beillesztett kép

#8654
Nem csúnyák így együtt! nevet

beillesztett kép

#8653
Köszi! nevet
#8652
Nem. A Fudzsivara-effektusnál egy közös egyensúlyi pont körül “keringenek”. Itt simán az északi hidegfront egymásba préseli őket.
#8651
Ezt hívják Fujiwara-effektusnak? Link
#8650
Gabika végül már az Azori-szigetekig sem bírta ki hurrikánként, nemrég poszt-trópusi lett. De azért valószínűleg így is hurrikán erejűként fog átvonulni a szigetek felett.

beillesztett kép

#8649
Ez szép lenne.

beillesztett kép


beillesztett kép

#8648
Trópusi vihar sem lesz, mert akkorra már átalakul extratrópusivá.
#8647
Bocsánat, valóban rosszul írtam, akkor trópusi vihar.

Péntekre érdemes lenne az Azori-szigetekre kiruccanni hurrikánt nézni.

beillesztett kép

#8646
A hurrikán és a trópusi ciklon ugyan az, de gondolom ex-trópusit akartál írni. kacsint
#8645
Minden modell azt várja, hogy a Gabrielle hurrikán a hétvégére a portugál partoknál érne partot.
Gondolom nem hurrikánként, hanem trópusi ciklonként.
#8644
He?

beillesztett kép

#8643
Ahhoz mennyire kell összeszervezetlenségnek lennie, hogy egyszerre két megegyező nevű trópusi ciklon legyen a Földön?Bohóc
#8642
A szorulás után jött a hasmenés. kacsint

- - - - - - - - -

Akit érdekel, rendszereztem a medikános elemzéseimet: Link
#8641
Berúgta a szezontszeret

beillesztett kép

#8640
2-3 órája ért partot Vietnámban. Igaz, ott már “csak” 169 km/h-t mértek, de a kb fél millió lakosú Ha Tinh-t átrendezte ez is.

beillesztett kép

#8639
Hainanon 243 km/h-s széllökést mértek a szem közelében.

beillesztett kép

#8638
Szép kis fánk lettszeret

beillesztett kép

#8637
Kajiki is belekezdett egy RI-be. Ebbű nem csak T1 leszszeret

beillesztett kép

Havazás előrejelzés

Utolsó észlelés

2026-03-06 02:57:54

Romhány - Dózsa György út.

-3.3 °C

00000

RH: 88 | P: 1026.8

Észlelési napló

Térképek

Radar
map
Aktuális hõmérséklet
map
Aktuális szél
map

Utolsó kép

156525

Hírek, események

Mediterrán ciklon hoz csöppnyi tavaszt és kicsivel több telet

Időjárás-változás | 2026-02-18 12:39

pic
Jelentős változást hoz hazánk és a térség időjárásába egy mediterrán ciklon, ami egy kis tavaszt és egy kis telet is tartogat.