2025. november 03., hétfő
Képtár:    Egyéb/Fórum Képek száma: 90211
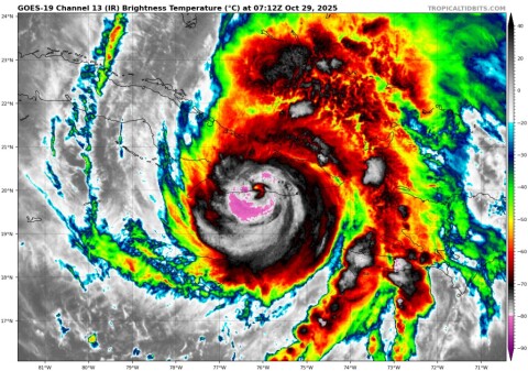
<-Nagyításhoz kattints a képre!->
pic Feltöltő: wetsom
Feltöltötte: 2025-10-29 08:33:52


 Felhasználó további képei


Nem érkezett még hozzászólás ehhez a képhez.

Havazás előrejelzés

Utolsó észlelés

2025-11-03 16:52:06

Romhány - Dózsa György út.

9.7 °C

31507

RH: 82 | P: 1019.2

Észlelési napló

Térképek

Radar
map
Aktuális hõmérséklet
map
Aktuális szél
map

Utolsó kép

147222

Hírek, események

Hullámzó front hoz jelentős csapadékot

Időjárás-változás | 2025-11-01 10:22

pic
Folytatódik a hullámzó frontok sorozata.