Hurrikánok és tájfunok
Hasznos linkek
>> National Hurricane Center>> Joint Typhoon Warning Center
>> Weather Underground
>> Tropical Tidbits
A tegnapi átmeneti gyengülését követően jó nagy dög lett mostanra, és lassan ismét Cat 3.

Az oké, hogy fish storm, de azért ezzel a 915-tel eléggé odatette magát a lyány
Rendesen odadurrantott ma reggel-délelőtt (ottani idő szerint), a legutóbbi Recon mérések alapján már az 5-ös kategóriával kacérkodik.

Link (150-160 kt körüli FL szelek...)
Link (150-160 kt körüli FL szelek...)

Úgy néz ki, hosszú idő után lesz (de ilyen struktúrával már inkább van) egy igazi* CPAC major hurrikán Hawaii-tól messze délre.
*eleve ott kialakuló, nem az EPAC-ból átsodródó ciklon általi
*eleve ott kialakuló, nem az EPAC-ból átsodródó ciklon általi

Ha még a nyár végén, ősz elején kialakulna egy hidegcseppes pörgentyű, akkor igen.
Plusz ha addig elsüllyesztenénk Olaszországot, Korzikát, Szardíniát, Mallorcát, Szicíliát és Krétát.
Meg esetleg a Szaharát is, akkor nem csak medikán lenne, hanem hurrikán is.
Plusz ha addig elsüllyesztenénk Olaszországot, Korzikát, Szardíniát, Mallorcát, Szicíliát és Krétát.
Meg esetleg a Szaharát is, akkor nem csak medikán lenne, hanem hurrikán is.
El, de nem emiatt. A medikánság alapvetően nem függ az SST-től, hiszen eleve késő ősszel/télen alakul ki a többségük, amikor már csak 20-25 °C közötti az SST. És pl. tavaly is meleg volt, de akkor nem tudott olyan ciklon kialakulni, ami aztán medikánná fejlődhetett volna.
Hírek szerint a Földközi-tenger SST-je nagyon magas; elképzelhető, hogy emiatt az esetleg kialakuló mediciklonok medikánok is lehetnek?
Igen, így szép, de azért a nyírás cseszegeti még, így nem lesz belőle semmi extra.

Így mondjuk könnyű lesz hozni a várt darabszámokat, ha minden ilyen kis szart elneveznek (jó persze, értem én, hogy a Recon mérte, de azért na).
Erick nem az a szarral gurigázós fajta lesz, masszívan majorként (a hivatalos előre szerint Cat 3-asként, de ahogy most kinéz, szerintem lehet az 4-es is) megy majd neki Mexikónak holnap. A friss Recon amúgy már 2-esnek méri.

Wutip végül kikerülte Hajnan szigetét, így viszont lehet, hogy tájfun lesz belőle.

Végül elég későn állt össze, így csak egy jó közepes TS-re futotta belőle.

Errol megküldte rendesen Ausztráliától északnyugatra, masszív C4, de egyes becslések szerint már inkább a C5 felé kacsintgat.

Jaja, ha az ember trópusi vihart szeretne átélni, Madagaszkár szinte biztos célterület ilyentájt.
Még válogathatni is lehet a trópusi ciklonok közül.
Még válogathatni is lehet a trópusi ciklonok közül.

Fidzsi után valószínűleg jó pár déli sziget (Madagaszkár, Réunion, Mauritius, Ausztrália) meg lesz még ciklonozva a következő napokban.
Ők nem mérnek így. De a közelítő becslés kb pont elég a távérzékelési adatokból (Doppler, Dvorak stb)
Nem óránkénti, hanem 6 óránkénti adatok vannak, és mivel repülőgépek repkednek bele a hurrikánokba, azt gondoltam, hogy megmérik a repülőgépekkel!
Tejóég!
Az becsült érték?
Miért nem valós mérési adatot írnak ki oda!
Az becsült érték?
Miért nem valós mérési adatot írnak ki oda!
Köszi, így már értem, viszont ez nem mérés, hanem az éppen aktuális (6 óránkénti) hivatalos becslés.
Mit értesz azon, hogy mértek? Műholdas adatot én nem láttam most, egyéb mérések (pl. repülőgépes) pedig arrafelé nincsenek.
Ma 12:00 UTC-kor 241 km/h-t mértek, szóval közben valamikor meglehetett a 254 km/h, és akkor már Cat 5.
Most viszont eléggé megrottyant, egyrészt valószínűleg szemfal-kicserélődés zajlik, de úgy tűnik, a nyírás is nagyobb lett, lehet így már nem lesz meg a Cat 5 (a Saffir-Simpson skála szerint, az ausztrál szerint megvolt).
Valóban bepörgött rendesen!
Egy helyben áll a part mellett, kíváncsi lennék milyen hullámokat csinál!?
Egy helyben áll a part mellett, kíváncsi lennék milyen hullámokat csinál!?
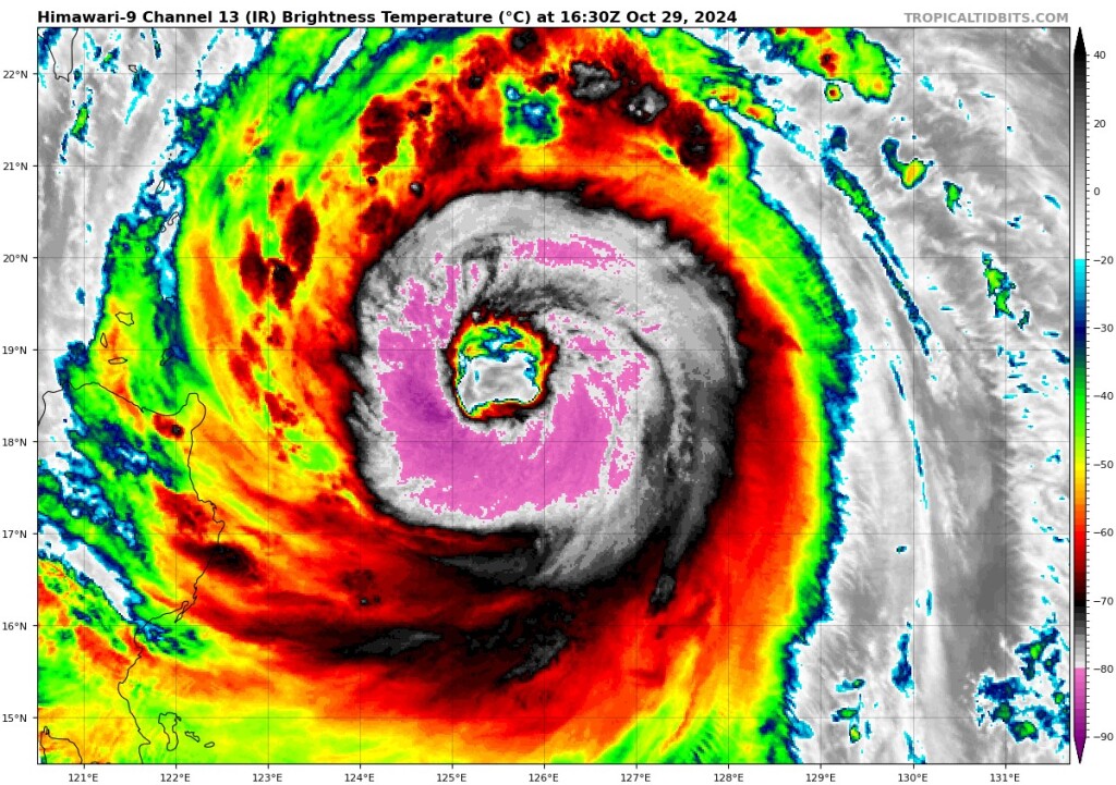
Az ADT-nél a nyers T szám már fel-felugrik 7.0-7.1-re, amikor éppen jól méri be a rendszer a szemét (-30 °C feletti hőmérséklettel), ami 240+ km/h. Link
Ha jobban kitisztul a szem, akkor az ezekkel a -80 °C alatt felhőtető-hőmérséklettel a szemfalban garantáltan Cat 5 lenne.
Egyébként Cat 2-nél szinte biztos, hogy erősebb már most is.
Ha jobban kitisztul a szem, akkor az ezekkel a -80 °C alatt felhőtető-hőmérséklettel a szemfalban garantáltan Cat 5 lenne.
Egyébként Cat 2-nél szinte biztos, hogy erősebb már most is.

Cat 5?
Az utolsó mérés alapján éppen hogy csak Cat 2 kb. 2,5 órával ezelőtt!
Az utolsó mérés alapján éppen hogy csak Cat 2 kb. 2,5 órával ezelőtt!






















